Pcl 19303 Sovereign Road Kakabeka Falls, Ontario P0T 1W0

Acreage

$69,999

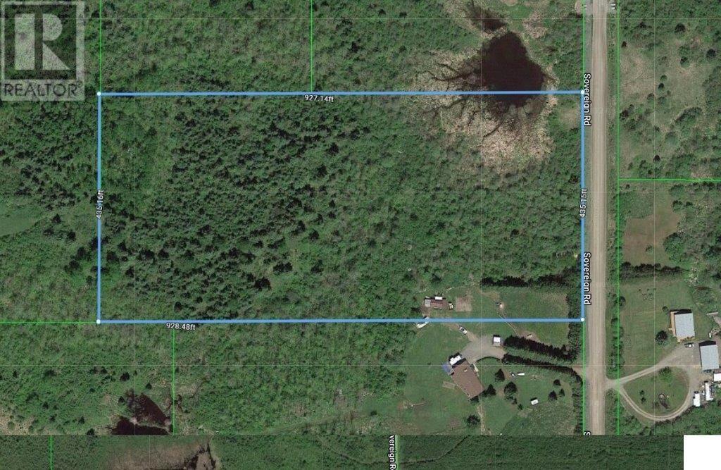
This nearly 9-acre property on beautiful Kakabeka Falls offers the perfect setting to build your dream rural home. Located just 40 minutes from the city, this peaceful and quiet parcel of land features a large pond and a driveway already in place, making it easier to start your plans. With hydro available at the road, you can enjoy the best of country living without sacrificing convenience. Embrace the tranquility of nature and create your own private retreat in this serene location. Don't miss this opportunity! Call now! Visit www.century21superior.com for more info and pics. (id:58361)

Property Details

MLS® Number TB2600337
Property Type Vacant Land
Community Name Kakabeka Falls

Building

Utility Water None

Land

Access Type Road Access
Acreage Yes
Sewer No Sewage System
Size Frontage 435.0000
Size Irregular 8.6
Size Total 8.6 Ac|3 - 10 Acres
Size Total Text 8.6 Ac|3 - 10 Acres

Utilities

Electricity Available
Telephone Available

https://www.realtor.ca/real-estate/29419462/pcl-19303-sovereign-road-kakabeka-falls-kakabeka-falls

Contact Us

Contact us for more information

Generating Captcha

Your Favourites

 

No Favourites Found